| 查看: 1703 | 回复: 6 | ||
[求助]
求助workbench 14 不能划分网格问题 已有2人参与
|
|
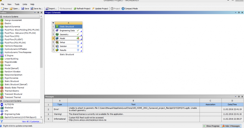
大家好,我安装了workbench 14,打开后全部都能建模,但是一旦开始划分网格,就报错,说是不能连接到几何模型。请问这是怎么回事呢?我的证书全都是对。 T@WBMIU@(U{QO6`{`I]S47S.png 4QILBVZ97(DV7)%{E`HY709.png (PE]F8XVNC9[_M5Q$~5VLBT.jpg |
» 猜你喜欢
光学工程学硕调剂信息
已经有32人回复
欢迎加入课题组
已经有0人回复
物理学I论文润色/翻译怎么收费?
已经有192人回复
散金币,求好运,祝面上顺利!
已经有78人回复
华东师范大学芯片设计徐珑真实水平咋样
已经有1人回复
调剂
已经有0人回复
【新加坡】纳米电子器件项目组有“联合培养博士生”名额
已经有0人回复
中德博士后2026项目5月30日截止- 国内博士后入站、德国两年全职
已经有0人回复
面向全球申请人的中德博士后2026项目5月30日截止- 国内博后入站德国两年全职
已经有0人回复
【新加坡】纳米电子器件项目组有“联合培养博士生”名额
已经有2人回复
重庆交大材料学院26年硕士招生复试实施细则已出。欢迎加入光子学微结构与器件课题组。
已经有0人回复
2楼2016-02-12 17:25:42
★
感谢参与,应助指数 +1
wangmengqiu: 金币+1, 我已经解决了哈,原来是储存路径里面有不是英文的字符 2016-02-14 13:57:51
感谢参与,应助指数 +1
wangmengqiu: 金币+1, 我已经解决了哈,原来是储存路径里面有不是英文的字符 2016-02-14 13:57:51
|
本帖内容被屏蔽 |
3楼2016-02-12 21:03:27
redfenglin
新虫 (正式写手)
- 应助: 3 (幼儿园)
- 金币: 1580.4
- 红花: 2
- 帖子: 376
- 在线: 12.6小时
- 虫号: 3389208
- 注册: 2014-08-30
- 专业: 机械结构强度学
4楼2016-02-13 10:00:58
5楼2016-02-14 13:58:10
haoshuai641
木虫 (正式写手)
- 应助: 128 (高中生)
- 金币: 5346.9
- 红花: 13
- 帖子: 950
- 在线: 174.7小时
- 虫号: 3557109
- 注册: 2014-11-24
- 性别: GG
- 专业: 流体力学

6楼2016-02-18 08:50:54
7楼2016-03-01 00:26:40













回复此楼