| 查看: 331 | 回复: 2 | |||
[交流]
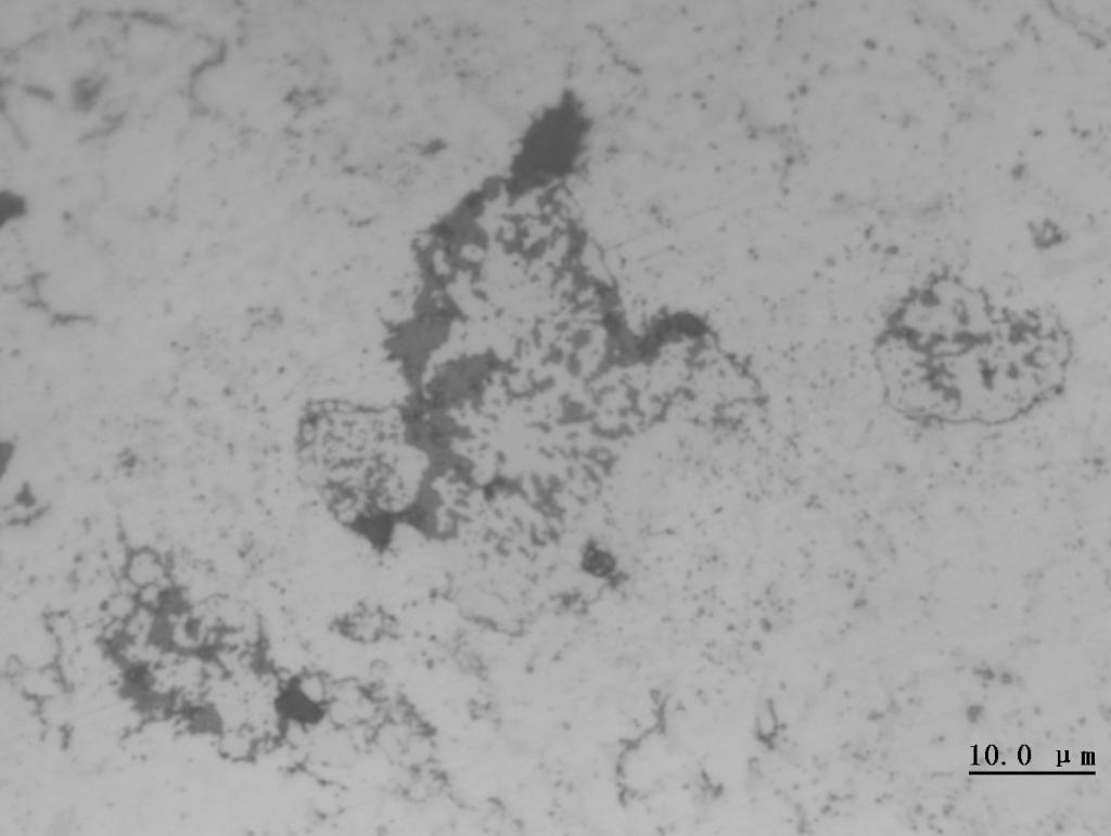
求大神看看这个是不是组织没有固溶完全呀。 已有1人参与
|
|
Ni粉+20%Cr粉+少量镍包石墨,模压成型后1150度2h烧结,没有腐蚀的金相如下图: 是不是铬没有完全固溶才出现这样的玩意呀?求教。 [ Last edited by 龙梦蝶 on 2013-5-10 at 22:12 ] |
» 猜你喜欢
博士自荐
已经有5人回复
博士推荐
已经有4人回复
求环氧树脂研发1名
已经有10人回复
280求调剂
已经有5人回复
什么是人一生最重要的?
已经有10人回复
面上可以超过30页吧?
已经有13人回复
网上报道青年教师午睡中猝死、熬夜猝死的越来越多,主要哪些原因引起的?
已经有10人回复
为什么中国大学工科教授们水了那么多所谓的顶会顶刊,但还是做不出宇树机器人?
已经有13人回复
版面费该交吗
已经有17人回复
【博士招生】太原理工大学2026化工博士
已经有8人回复
» 本主题相关商家推荐: (我也要在这里推广)
» 本主题相关价值贴推荐,对您同样有帮助:
流固耦合分析,如何取固体上一点进行观测?求助大神
已经有6人回复
Li在TiS2中的部分固溶,大家看看化学是应该怎么写
已经有3人回复
各位大神,求密度在600kg/m3以下的不溶于水的液体
已经有4人回复
有哪位大神知道钛酸锶钡(Ba1-xSrxTiO3)固溶体的介电性能随x的变化关系
已经有3人回复
关于固溶体的,请教金属的大神们
已经有10人回复
【求助】为啥我上柱后析出的固体溶不到洗脱液里了??
已经有6人回复
【求助】合金固溶处理后有没有可能会硬度降低?
已经有15人回复

chensijie
铁杆木虫 (著名写手)
- MM-EPI: 16
- 应助: 92 (初中生)
- 贵宾: 0.365
- 金币: 9711
- 散金: 22
- 红花: 18
- 帖子: 1829
- 在线: 396.5小时
- 虫号: 334736
- 注册: 2007-03-31
- 性别: GG
- 专业: 金属结构材料

2楼2013-05-10 22:47:20

3楼2013-05-11 09:50:20













回复此楼