| 查看: 1597 | 回复: 0 | |||
[交流]
博导在招Mitacs 2021项目本科实习生(4名)截止日期9.23坐标:加拿大魁北克
|
|
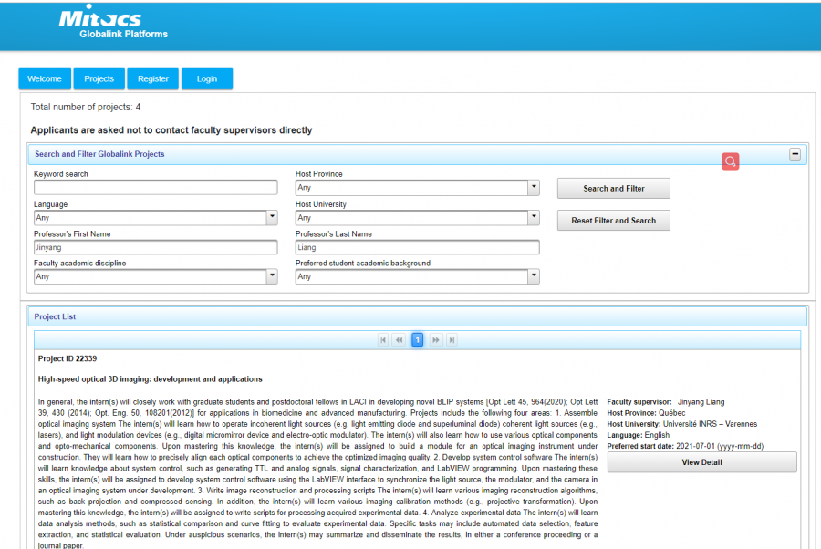
查询步骤见如下: 我们正在为Mitacs Globalink 2021招聘本科实习生。请按以下方式搜索本实验室的项目: 转到:Https://globalink.mitacs.ca/#/student/application/projects 在教授的名字和姓中键入“金阳”和“梁”。 点击“搜索和筛选” 我为总共4名实习生发布了两个项目。截止日期为9月23日。 QQ图片20200908101247.png |
» 猜你喜欢
311求调剂
已经有9人回复
302求调剂
已经有4人回复
被我言中:新模板不强调格式了,假专家开始管格式了
已经有4人回复
303求调剂
已经有5人回复
考研求调剂
已经有4人回复
085601专硕,总分342求调剂,地区不限
已经有4人回复
085601材料工程专硕求调剂
已经有5人回复
一志愿天津大学化学工艺专业(081702)315分求调剂
已经有6人回复
能源材料化学课题组招收硕士研究生8-10名
已经有6人回复
296求调剂
已经有5人回复













回复此楼
5